横浜市旭区中尾1丁目 新築一戸建ての物件詳細
| 販売価格 | 所在地/交通 | 土地面積/間取 |
|---|---|---|
| 4,680万円(税込) | 横浜市旭区中尾1丁目 |
82.88m²(25.07坪) 2SLDK |
【横浜市旭区中尾1丁目の新築一戸建ての物件概要】
| 所在地 | 横浜市旭区中尾1丁目 | ||
|---|---|---|---|
| 交通 | 相模鉄道本線「二俣川駅」 徒歩19分 | ||
| 交通2 | 相模鉄道いずみ野線「二俣川駅」 徒歩19分 | ||
| 交通3 | 相模鉄道本線「希望ヶ丘駅」 徒歩14分 | ||
| 総戸数 | 販売戸数 | ||
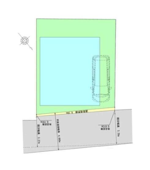
| 土地面積 | 82.88m²(25.07坪) | 建物面積 | 80.53m²(24.36坪) |
| 間取り | 2SLDK | 建物構造 | 木造2階建て |
| 間取詳細 | |||
| 築年月 | 2026年8月築 | 用途地域 | 第一種低層住居専用地域 |
| 私道面積 | 16.22m² | 接道状況 | 一方 北東4m |
| 容積率 | 100% | 建ぺい率 | 50% |
| 駐車場 | あり | 現況 | 建築中 |
| 引渡時期 | 相談 | 土地権利 | 所有権 |
| 小学校区 | 横浜市立中尾小学校 距離:550 m | 中学校区 | 横浜市立希望が丘中学校 距離:850 m |
| 設備 | 都市ガス 、公営水道 、排水(下水) | 建築確認番号 | 第2025SBC-確02648H号 |
| 取引態様 | 媒介 | 物件番号 | 111767698001 |
| 備考 | 地盤調査書有;2沿線以上利用可;階建 2階建;LDK広さ 15帖以上;吹抜け;上水道 公営;汚水 下水道;ガス 都市ガス;フローリング;全居室フローリング;複層ガラス;24時間換気システム;全居室収納;収納スペース;納戸;クローゼット;シューズボックス;システムキッチン;カウンターキッチン;ガスコンロ;コンロ口数 三口;グリル;パントリー;食器洗乾燥機;浄水器;独立洗面台;シャンプードレッサー;オートバス;追い焚き;浴室に窓;浴室暖房;浴室乾燥機;温水洗浄便座;バルコニー バルコニー有;全居室複層ガラス;TVインターホン;火災警報器(報知機);小学校 徒歩10分以内物件シート備考:カースペース有 備考_300文字:カースペース有 コピー元備考:カースペース有 | ||
| 特記事項 | |||
お支払い例この物件を購入した場合の月々の支払い価格の一例です。
※元利金等方式 金利0.975%の場合 ※返済年数35年として算出しています。
※金融機関の審査によりご利用頂けない場合もあります。詳しくは担当までお尋ね下さい。
この物件についてのお問い合わせはこちらから!
すぐに知りたい方はお電話でTel.0120-53-5555 営業時間9:30~20:30 毎週水曜、第1・3火曜定休
周辺環境
横浜市旭区の街情報
横浜市旭区は横浜市の西部に位置する区で、水田を含む山里があることから「農のある里づくり」を展開し地産地消が進められています。 国道16号保土ケ谷バイパスが走り、区内の道路と接続していて交通網の中核になっていて、他にも中原街道や鎌倉街道、東海道新幹線が走っていて交通の利便性が良いといえます。 駅周辺を中心にスーパーマーケットや商店街などがあり買い物しやすいエリアです。

横浜市旭区の行政事情(横浜市旭区ホームページへ)
| ごみ | 家庭ごみ回収 | 無料 |
|---|---|---|
| 資源ごみ回収奨励制度 | ○ | |
| 育児・出産 | 妊娠・出産に関する助成金 | ○ |
| 小児医療費助成 | 0歳~中学3年生 | |
| 児童手当 | 高校3年生まで(18歳到達後最初の3月31日まで) | |
| 保育所待機児童数 | 1人※令和6年4月現在 | |
| 私立幼稚園入園料・保育用補助金 | ○ | |
| 学童クラブ対象学年 平日・土曜実施時間 |
小学校1年生から6年生まで。 平日は午後7時まで。土曜日は午前7時~19時まで。※各施設により異なる |
|
| 教育資金金融/奨学金制度 | ○ | |
| 福祉 | 健康診断/ガン診断 | 関連情報はこちら |
| 介護保険料基準額 | 6,620円 | |
| 高齢者福祉他特色 | 関連情報はこちら |
この物件についてのお問い合わせはこちらから!
すぐに知りたい方はお電話でTel.0120-53-5555 営業時間9:30?20:30 毎週水曜、第1・3火曜定休
「横浜市旭区」「二俣川駅」の条件で他の物件を探す
現在の掲載物件数
総物件数13,214件
一般公開1,445件 会員限定11,769件
| 新築一戸建て | 2,691件 |
|---|---|
| 中古一戸建て | 3,726件 |
| 土地 | 201件 |
| マンション | 6,596件 |
| 投資・事業用 | 0件 |
現地販売会のお知らせ















