相模原市中央区緑が丘1丁目 新築一戸建て
家族がゆったり過ごせる広々リビング。対面キッチンで家族との会話も弾みます。陽光溢れる南バルコニー付。
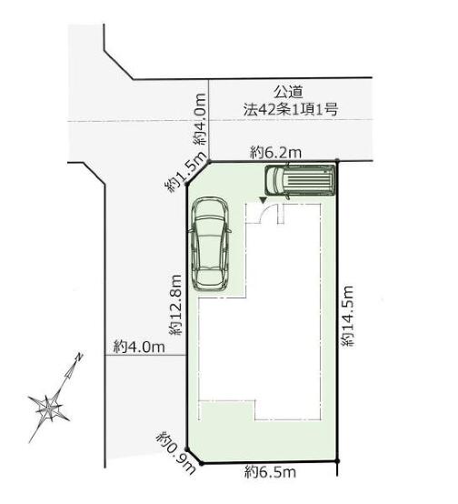
カースペース2台分有(車種による)
▼周辺地図
| 物件名 | 相模原市中央区緑が丘1丁目 新築一戸建て |
|---|---|
| 所在地 | 相模原市中央区緑が丘1丁目 |
| 交通 | 横浜線「淵野辺駅」バス15分 上溝団地 停歩4分 |
| 交通2 | 相模線「上溝駅」 徒歩31分 |
| 交通3 | 相模線「原当麻駅」 徒歩39分 |
| 土地面積 | 106m² |
| 建物面積 | 99.98m² |
| 間取り | 4LDK |
| 建物構造 | 木造2階建て |
| 築年月 | 2026年4月 |
| 間取り詳細 | 1階 19.1帖
2階洋室 4.4帖 2階洋室 6.3帖 2階洋室 6.2帖 2階洋室 6.6帖 |
| 現況 | 建築中 |
| 引渡時期 | 相談 |
| 土地権利 | 所有権 |
| 都市計画 | 市街化区域 |
| 地目 | 宅地 |
| 用途地域1 | 第一種低層住居専用地域 |
| 建ぺい率1/容積率1 | 50%/100% |
| 建ぺい率2/容積率2 | / |
| 建築確認番号 | 第25KAK建確02354号 |
| 駐車場 | 2台 |
| 取引態様 | 媒介 |
| 接道状況 | 角地 |
| 町会費 | |
| その他費用 | |
| 小学校区 | |
| 中学校区 | |
| 接道詳細 | 南西幅員4m /北西幅員4m |
| 設備 | 都市ガス 、公営水道 、排水(下水) |
| 備考 | 整形地;角地;地盤調査書有;2沿線以上利用可;階建 2階建;LDK広さ 18帖以上;上水道 公営;汚水 下水道;ガス 都市ガス;フローリング;全居室フローリング;複層ガラス;駐車可能台数 2台可;24時間換気システム;全居室収納;収納スペース;クローゼット;シューズボックス;システムキッチン;カウンターキッチン;ガスコンロ;コンロ口数 三口;食器洗乾燥機;浄水器;独立洗面台;シャンプードレッサー;オートバス;追い焚き;浴室に窓;浴室暖房;浴室乾燥機;トイレ2ヶ所;温水洗浄便座;バルコニー バルコニー有;全居室複層ガラス;TVインターホン;火災警報器(報知機)備考_80文字:カースペース2台分有(車種による) 物件シート備考:カースペース2台分有(車種による) 備考_300文字:カースペース2台分有(車種による) コピー元備考:カースペース2台分有(車種による) |